





Private House Brokers ma przyjemność zaprezentować ofertę sprzedaży - budowlanej działki o powierzchni 8ar 49m2 w miejscowości Włosań w gminie Mogilany
OFERTA DOSTĘPNA TYLKO U NAS
LOKALIZACJA: Oferowana działka budowlana położona jest w malowniczej miejscowości Włosań, na terenie gminy Mogilany, w bezpośrednim sąsiedztwie Krakowa. Lokalizacja łączy spokój i kameralny charakter podkrakowskiej miejscowości z wygodnym dostępem do infrastruktury miejskiej. W pobliżu znajdują się tereny zielone, lasy oraz liczne trasy spacerowe i rowerowe. Dogodny dojazd do Krakowa oraz szybki dostęp do głównych dróg sprawiają, że jest to idealne miejsce pod budowę domu jednorodzinnego.
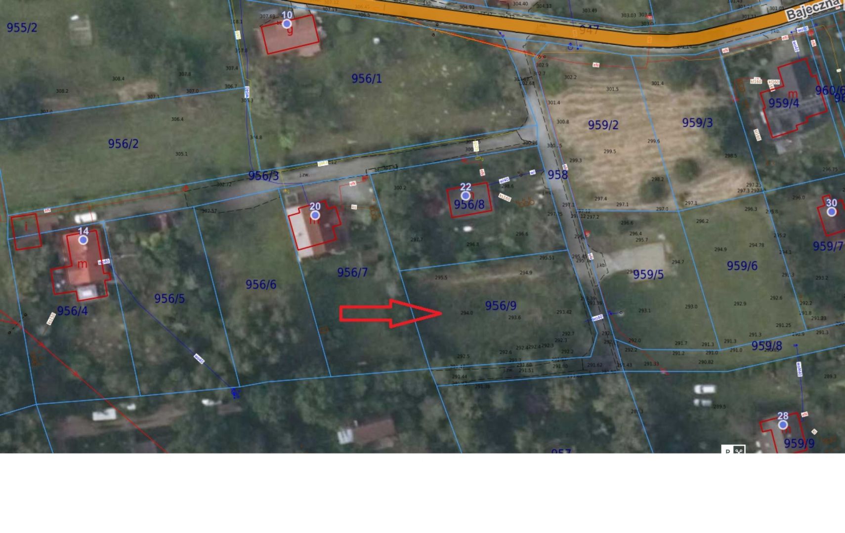
DZIAŁKA: Prezentowana nieruchomość to działka budowlana zlokalizowana w okolicach ulicy Bajecznej oznaczona numerem 956/9 o powierzchni 8,49 ara. Działka od strony południowej graniczy ze ślepą drogą dojazdową. W najbliższym sąsiedztwie zabudowa jednorodzinna wolnostojąca. Droga dojazdowa od strony wschodniej. Działka o kształcie prostokąta, położona na południowym stoku. Działka niezabudowana, na działce zadrzewienie od strony południowej działki.
Działka objęta MPZP dla miejscowości Włosań - zgodnie z zapisami planu znajduje się w terenie zabudowy mieszkaniowej jednorodzinnej - teren oznaczony symbolem 03MN3.
CENA: 300.000,00 zł
Zapraszam do kontaktu po więcej szczegółów.
Maciej Dymek +48 537 947 580 m.dymek@privatehousebrokers.pl
-- Kredyt hipoteczny z Private House Brokers
W PHB posiadamy własny Dział Finansowania Nieruchomości. Współpracujemy z 25 największymi bankami, spośród których najlepszą ofertę pomogą Ci wybrać nasi eksperci. U nas możesz liczyć na najniższą marżę, kompleksowe objaśnienie zasad przyznawania kredytu, przeprowadzenie krok po kroku przez całą procedurę kredytową i załatwienie wszystkich formalności w jednym miejscu.
Już dziś zapytaj o szczegóły opiekuna oferty i weź najlepszy kredyt na rynku.
Kontakt
